Local Service Overview

Get Red Ant Extermination in Lake Dallas, TX

Red Ant Extermination services for property owners in Lake Dallas, TX, address pest infestations, rodent control, wasp nests, and other common residential or commercial pest problems.

Lake Dallas, TX

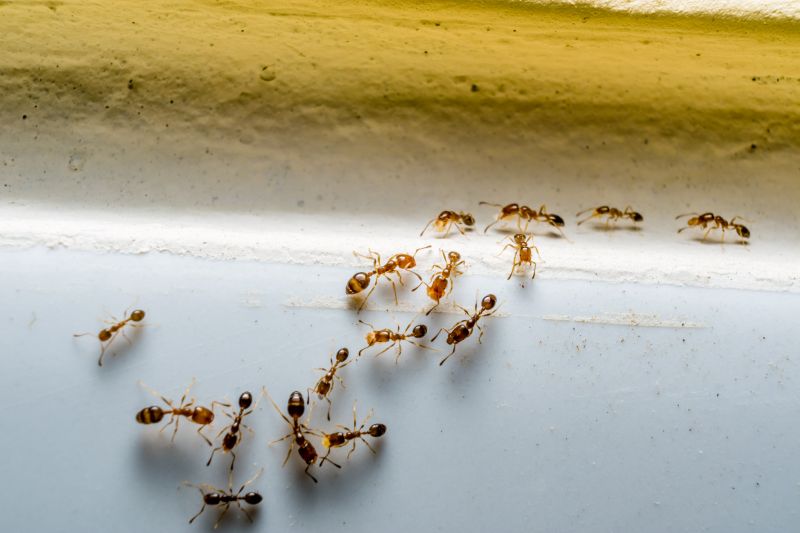
Red ant extermination services provide property owners in Lake Dallas, TX with an effective way to manage and eliminate invasive ant populations. These pests can cause discomfort, damage to structures, and pose health risks, making prompt and thorough removal essential for maintaining a safe and comfortable living environment. Professional exterminators utilize targeted treatments to reduce ant activity, helping to create a pest-free space that enhances overall safety and peace of mind.

Choosing expert ant extermination can also improve the functionality and durability of a property by preventing potential damage caused by ant colonies. Additionally, regular pest control efforts can reduce the need for ongoing maintenance, protect curb appeal, and preserve the integrity of outdoor and indoor spaces. Contacting local specialists ensures that effective, tailored solutions are implemented to support a healthier, more enjoyable property in Lake Dallas.

Get Red Ant Extermination Quotes

  • Red ant extermination services are needed when residents notice large ant colonies invading homes or outdoor spaces in Lake Dallas, TX and surrounding areas.
  • These services are sought after when red ants pose a threat to gardens, landscaping, or outdoor recreational areas in nearby communities.
  • Extermination is often required if red ants have established nests inside wall voids, basements, or crawl spaces in local residences.
  • When red ant populations become aggressive or increase rapidly, homeowners may need professional removal to prevent further infestation.
  • Services are also in demand for ongoing pest management to keep red ant colonies from returning in neighborhoods around Lake Dallas, TX.

Get Red Ant Extermination Quotes

Red Ant Extermination
Red Ant Extermination
Red Ant Extermination

Red ant extermination services focus on identifying and eliminating red ants from residential, commercial, and outdoor properties. These services typically involve thorough inspections to locate ant colonies and nesting sites, followed by targeted treatment applications. Exterminators may use a combination of baits, sprays, and dust formulations designed to effectively control and eradicate red ant populations. The goal is to reduce the presence of these pests while preventing future infestations, often through strategic placement of treatments around the property perimeter and known nesting areas.

Red ant problems can cause significant nuisances for property owners, especially during peak activity seasons. These ants are known for their aggressive behavior and painful stings, which can pose health risks to residents and pets. Infestations may also lead to damage to plants, wood structures, or other organic materials if the ants establish nests within or around the property. Addressing these issues promptly through professional extermination helps to minimize discomfort, prevent potential health issues, and protect property value by controlling the pest population effectively.

Properties that commonly utilize red ant extermination services include single-family homes, apartment complexes, and commercial buildings. Outdoor recreational areas, such as parks and playgrounds, also frequently require pest control measures to ensure safety and comfort for visitors. Agricultural properties and gardens may seek extermination services as well, particularly if red ants threaten crops or ornamental plants. Regardless of the property type, professional pest control providers tailor their treatments to meet the specific needs of each location, ensuring targeted and efficient eradication.

Engaging with local pest control professionals for red ant extermination offers a practical approach to managing infestations. These service providers have experience in handling diverse property types and pest scenarios, providing customized solutions that address the unique challenges of each site. With the assistance of local experts, property owners can effectively control red ant populations, reduce the risk of future invasions, and maintain a pest-free environment. Contacting a professional ensures that the treatment methods used are appropriate for the specific property and infestation severity.

The overview below groups typical Red Ant Extermination projects into broad ranges so you can see how smaller, mid-sized, and larger jobs often compare in Lake Dallas, TX.

In many markets, a large share of routine jobs stays in the lower and middle ranges, while only a smaller percentage of projects moves into the highest bands when the work is more complex or site conditions are harder than average.

Initial Inspection - The cost for a comprehensive inspection of pest activity typically ranges from $100 to $300. This fee often covers identifying the extent of ant infestations and determining the best treatment approach.

Standard Treatment - Typical treatment services for Red Ants usually cost between $150 and $400 per visit. The price varies based on the size of the affected area and the severity of the infestation.

Multiple Treatments - For ongoing or severe infestations requiring multiple visits, costs can range from $300 to $800. This may include follow-up treatments and targeted application to eliminate nests.

Preventive Services - Preventive pest control plans often cost between $200 and $500 annually. These services focus on barrier treatments and ongoing monitoring to reduce future ant problems.

Actual totals will depend on details like access to the work area, the scope of the project, and the materials selected, so use these as general starting points rather than exact figures.

Get a Red Ant Extermination Quote

Ant Extermination - Local pest control providers offer services to eliminate ant infestations in residential and commercial properties, helping to restore safety and comfort.

Cockroach Control - Service providers specialize in identifying and removing cockroach populations, reducing health risks associated with these pests.

Termite Inspection and Treatment - Pros conduct inspections to detect termite activity and apply treatments to prevent structural damage.

Spider Removal - Local experts provide spider exclusion and removal services to minimize unwanted arachnid presence.

Bed Bug Extermination - Service providers utilize targeted methods to eradicate bed bugs from sleeping areas and furniture.

Wildlife Pest Control - Local specialists handle the removal of larger pests such as raccoons or squirrels that may invade properties, ensuring safe exclusion.

Red Ant Extermination

When selecting a Red Ant Extermination service provider, it is important to consider the experience of local professionals. Homeowners should look for providers with a history of effective pest control in the Lake Dallas, TX area, as familiarity with local ant behavior and environments can influence treatment success. Reputable providers often have a track record of handling various ant infestations, which can provide confidence in their ability to address specific concerns effectively.

Clear and written expectations are a vital aspect of working with pest control professionals. Pros should provide detailed information about their treatment methods, what homeowners can anticipate during and after service, and any necessary follow-up procedures. Having these expectations documented helps ensure transparency and aligns the homeowner’s understanding with the service provider’s approach.

Reputable references and good communication are essential when choosing a Red Ant Extermination provider. Local professionals with positive references from previous clients can offer insights into their reliability and quality of work. Additionally, clear and responsive communication from the service providers can help homeowners feel informed and comfortable throughout the pest control process, ensuring any questions or concerns are addressed promptly.

Get a Red Ant Extermination Quote

Property owners in Lake Dallas, TX use Red Ant Extermination services for practical projects around their homes and businesses. The sections below highlight everyday jobs and straightforward project options.

Red Ant Extermination
Red Ant Extermination

Red ant extermination services are often sought by property owners in Lake Dallas, TX, who notice an increasing presence of these insects around their homes or yards. Common situations include discovering ant trails near foundations, along walkways, or inside living spaces, which can signal a growing infestation. Property owners may seek professional assistance to effectively eliminate the ants and prevent future invasions, especially when DIY methods have proven ineffective or when the ants pose a nuisance to daily activities.

In addition to visible ant activity, some property owners may be concerned about the potential for red ants to cause damage or create health risks, particularly if they have children or pets. Exterminators are called upon to assess the situation, identify the extent of the problem, and implement targeted treatments to control the infestation. These services help maintain a safe and comfortable environment, especially in cases where ant colonies have become difficult to manage with over-the-counter solutions.

Get a Red Ant Extermination Quote

What are common signs of red ant infestations? Signs include visible ant trails, clusters of red ants around food sources, and small mounds or nests in soil or indoor areas.

Are red ants dangerous to humans? Red ants can bite and may cause allergic reactions in some individuals, so professional removal is recommended if an infestation occurs.

How do pest control professionals eliminate red ants? Local service providers typically use targeted treatments such as baits and insecticides to effectively remove red ant colonies.

Can red ant infestations be prevented? Proper sanitation, sealing entry points, and regular inspections can help reduce the risk of red ant invasions.

How long does red ant extermination typically take? The duration varies depending on the severity of the infestation, but professionals aim to resolve issues efficiently through targeted treatments.

Red Ant Extermination Services - Local pest control professionals can provide targeted treatments to eliminate red ants from residential and commercial properties.

Inspection and Identification - Experts can assess infested areas to identify ant colonies and determine the most effective removal methods.

Preventive Solutions - Service providers offer advice and treatments to help prevent future red ant infestations around the property.

Ongoing Monitoring - Professionals can establish monitoring plans to ensure red ant activity remains under control over time.

Red Ant Extermination

Considering Red Ant Extermination for a property in Lake Dallas, TX? The sections above highlight common project types, practical options, and details that often shape the scope of work.

When you are ready, use the quote form to share a few details about your project. Local pros can review the basics and respond with options that match what you have in mind.

Get a Red Ant Extermination Quote

Red Ant Extermination Quotes

Our Trusted Partners
Cantu Pest Control
Orkin
Hawx Pest Control
Mosquito Shield