Local Service Overview

Get Ants Extermination Service in Collin County, TX

Ants extermination services for property owners in Collin County, TX, address ant infestations, prevent future invasions, and handle residential and commercial pest control projects.

Collin County, TX

Ants extermination services offer property owners in Collin County, TX practical solutions to maintain a comfortable and safe living environment. By effectively managing ant populations, homeowners can prevent potential damage to structures, electrical wiring, and stored belongings, reducing the need for frequent repairs and upkeep. These services also help enhance the overall functionality of a property by eliminating pests that can interfere with daily activities, allowing residents to enjoy their space without concern.

Choosing professional ant extermination can also boost curb appeal by ensuring outdoor areas and entry points are free of pests and visible signs of infestation. This not only creates a more inviting appearance but also supports long-term durability by protecting landscaping and foundational elements from pest-related damage. Property owners often seek these services to foster a sense of security and peace of mind, knowing that their homes are better protected against unwanted pests.

Get Ants Extermination Service Quotes

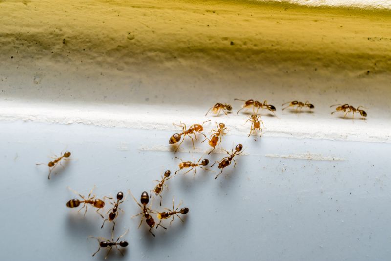
  • Ants Extermination - needed when ants invade kitchens, bathrooms, or other indoor areas in residential or commercial properties.
  • Ants Extermination - required if an ant colony has established itself outdoors near foundations or landscaping.
  • Ants Extermination - necessary when ant trails are visible across floors, walls, or entry points in homes or businesses.
  • Ants Extermination - appropriate when ants are found in food storage areas or pantry spaces.
  • Ants Extermination - sought after when ant activity persists despite basic cleaning and preventive measures.

Get Ants Extermination Service Quotes

Ants Extermination Service
Ants Extermination Service
Ants Extermination Service

Ants extermination services involve the identification and elimination of ant infestations within residential, commercial, and industrial properties. Professional pest control providers typically conduct thorough inspections to determine the species of ants and the extent of the infestation. Treatment methods may include targeted application of insecticides, baiting systems, and barrier treatments designed to eradicate colonies and prevent future invasions. These services aim to address the root causes of ant problems, ensuring a comprehensive approach to pest management.

Ant infestations can cause a variety of issues for property owners, including structural damage, contamination of food supplies, and aesthetic concerns. Certain ant species, such as carpenter ants, are known to damage wood structures, which can compromise the integrity of buildings over time. Additionally, ants can become a nuisance by invading kitchens, pantries, and other areas where food is stored, creating hygiene concerns. Extermination services help mitigate these problems by removing colonies and implementing preventative measures to reduce the likelihood of recurring issues.

Properties that commonly utilize ants extermination services include single-family homes, apartment complexes, restaurants, and food processing facilities. Residential properties often seek pest control to protect their living spaces and food supplies from ant invasions. Commercial establishments, especially those involved in food handling and preparation, rely on professional services to maintain sanitary conditions and comply with health regulations. Additionally, warehouses and storage facilities may also require pest management to prevent damage to stored goods and inventory.

Engaging with local pest control providers for ants extermination can offer tailored solutions suited to the specific needs of each property. These professionals typically assess the severity of the infestation, identify the ant species involved, and recommend appropriate treatment strategies. Regular inspections and preventative treatments are often part of ongoing pest management plans, helping property owners maintain a pest-free environment. Contacting experienced local providers ensures access to effective, customized ant control services that address individual property concerns.

The overview below groups typical Ants Extermination Service projects into broad ranges so you can see how smaller, mid-sized, and larger jobs often compare in Collin County, TX.

In many markets, a large share of routine jobs stays in the lower and middle ranges, while only a smaller percentage of projects moves into the highest bands when the work is more complex or site conditions are harder than average.

Initial Inspection - The cost for an ant inspection typically ranges from $50 to $150, depending on property size and complexity. This fee often covers a thorough assessment to identify ant activity and entry points. Some providers include the inspection as part of a larger treatment package.

Basic Treatment - A standard ant extermination service usually costs between $100 and $300. This includes applying targeted insecticides around the property’s perimeter and interior to eliminate colonies. Prices may vary based on the extent of the infestation and property size.

Comprehensive Pest Control - For more extensive ant control, prices can range from $200 to $500. These services often include multiple treatments, baiting systems, and follow-up visits to ensure complete eradication. Larger properties or severe infestations tend to increase costs.

Follow-Up Services - Follow-up treatments generally cost between $75 and $200 per visit. These visits help maintain control and prevent re-infestation, especially in areas with ongoing ant activity. The frequency and scope of follow-ups influence the overall cost.

Actual totals will depend on details like access to the work area, the scope of the project, and the materials selected, so use these as general starting points rather than exact figures.

Get an Ants Extermination Service Quote

Ants Extermination - Local service providers specialize in identifying ant nests and applying targeted treatments to eliminate infestations effectively.

Residential Ant Control - Pros offer solutions for homes in Collin County to remove ants and prevent future invasions through customized treatment plans.

Commercial Ant Extermination - Commercial pest control providers address ant issues in businesses, ensuring a pest-free environment for employees and customers.

Eco-friendly Ant Removal - Some service providers utilize environmentally conscious methods to eradicate ants while minimizing chemical use around homes and workplaces.

Emergency Ant Pest Control - Immediate response services are available for sudden ant infestations that require prompt attention to prevent further spread.

Ant Prevention Services - Experts offer inspection and sealing techniques to reduce the likelihood of future ant invasions in residential and commercial properties.

Ants Extermination Service

When comparing ant extermination services, experience is a key factor to consider. Local pros often have extensive knowledge of the specific ant species common in Collin County, TX, and surrounding areas, which can influence the effectiveness of their treatments. It’s helpful to review how long a service provider has been operating in the community and whether they have a history of handling similar pest issues successfully. Reputable providers typically highlight their experience through their service offerings and may be able to provide references or examples of past work to demonstrate their expertise.

Clear communication and written expectations are essential when engaging with ant extermination services. Pros should be transparent about the scope of work, treatment methods, and any preparations needed before service. It’s advisable to seek providers who offer detailed written estimates or service agreements that outline what is included and any follow-up procedures. This clarity can help prevent misunderstandings and ensure that the homeowner understands the process and results to expect from the treatment.

Reputable references and positive feedback from previous clients can serve as indicators of a service provider’s reliability. Homeowners are encouraged to inquire about references or look for reviews from local sources to gauge satisfaction levels. Effective communication is also reflected in how promptly and clearly a pros responds to inquiries and how well they address questions or concerns. Since this platform connects users with local service providers, it’s important to evaluate each option’s reputation and communication style to find a professional that aligns with specific needs and preferences.

Get an Ants Extermination Service Quote

Property owners in Collin County, TX use Ants Extermination Service services for practical projects around their homes and businesses. The sections below highlight everyday jobs and straightforward project options.

Ants Extermination Service
Ants Extermination Service

Ants extermination services are commonly sought by property owners in Collin County, TX, who notice ant activity around their homes or businesses. Common situations include finding trails of ants in kitchens, bathrooms, or along walls, which can indicate an ongoing infestation. Property owners may also seek professional help after attempting DIY solutions that do not fully eliminate the problem, or when ants begin to invade food storage areas and disrupt daily routines.

In addition to visible infestations, property owners might pursue ant extermination services as a preventative measure to protect their property from future invasions. This is especially relevant in areas with easy access points or nearby outdoor nests. Professional exterminators can assess the property and implement targeted treatments to help maintain a pest-free environment, reducing the likelihood of recurring ant issues.

Get an Ants Extermination Service Quote

How do ant extermination services work? Ant extermination services typically involve inspecting the affected area, identifying ant species and entry points, and applying targeted treatments to eliminate colonies and prevent future infestations.

Are ant treatments safe for pets and children? Many ant extermination options are designed to be safe when applied according to the provider’s instructions; it’s recommended to discuss safety concerns with the local service provider.

How long does an ant extermination treatment take? The duration of treatment can vary depending on the extent of the infestation and the treatment method used; a local professional can provide more specific information.

Will I need multiple treatments to control ants? Some ant problems may require more than one treatment, especially if the colony is large or deeply established; a local extermination service can advise on the best approach.

How can I prevent future ant infestations? Preventative measures include keeping food sealed, maintaining clean surroundings, and working with local pros to identify and seal entry points around the property.

Ants Inspection Services - Professionals can assess the extent of ant infestations and identify entry points to develop effective treatment strategies.

Ants Removal Solutions - Local service providers utilize targeted methods to eliminate ant colonies and prevent future invasions.

Ants Prevention Advice - Experts offer recommendations on sealing entry points and removing attractants to reduce ant activity around properties.

Ants Extermination Plans - Customized plans are available to address specific ant species and infestation levels for lasting results.

Ants Extermination Service

Considering Ants Extermination Service for a property in Collin County, TX? The sections above highlight common project types, practical options, and details that often shape the scope of work.

When you are ready, use the quote form to share a few details about your project. Local pros can review the basics and respond with options that match what you have in mind.

Get an Ants Extermination Service Quote

Ants Extermination Quotes

Our Trusted Partners
Cantu Pest Control
Orkin
Hawx Pest Control