Local Service Overview

Get Ants Extermination Service in Plano, TX

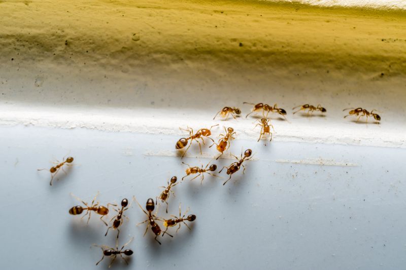
Ants extermination services for property owners in Plano, TX, and nearby areas address ant infestations, prevent future invasions, and handle residential and commercial pest control projects.

Plano, TX

Ants extermination services provide property owners in Plano, TX with an effective solution to manage and eliminate ant infestations. These services help maintain a comfortable living and working environment by preventing the disruptions and discomfort caused by persistent ant activity. Additionally, professional extermination enhances the safety of the property by reducing the need for homeowners to handle potentially harmful chemicals themselves, ensuring peace of mind and a healthier space.

Engaging local pest control providers for ant extermination can also improve the overall functionality and curb appeal of a property. Regular and thorough treatment helps protect structural elements from damage, extends the durability of the property’s features, and reduces ongoing maintenance needs. As a result, property owners can enjoy a cleaner, more attractive appearance while safeguarding their investment in the long term.

Get Ants Extermination Service Quotes

  • Ant Infestation Removal - needed when ants invade kitchens, pantries, or other indoor areas in residential or commercial properties.
  • Outdoor Ant Control - required to manage ant colonies in yards, gardens, or landscaping around homes in Plano and nearby communities.
  • Persistent Ant Problems - addressed when ants repeatedly return despite basic cleaning or previous treatments.
  • Specialized Ant Extermination - necessary for dealing with aggressive or large ant species that threaten property or health.
  • Preventative Ant Treatments - used to establish a barrier against future ant invasions in residential or commercial settings.

Get Ants Extermination Service Quotes

Ants Extermination Service
Ants Extermination Service
Ants Extermination Service

Ants extermination services involve identifying and eliminating ant infestations within residential, commercial, or industrial properties. These services typically include thorough inspections to locate ant colonies and entry points, followed by targeted treatment applications to eradicate the pests. Professionals may use various methods such as baiting systems, liquid insecticides, or dust treatments to ensure effective control. The goal is to reduce ant populations and prevent future invasions, helping property owners maintain a clean and pest-free environment.

Ant infestations can pose multiple problems for property owners, including damage to structures, contamination of food supplies, and general nuisance. Certain ant species, like carpenter ants, are known to cause structural damage by hollowing out wood, while others, such as fire ants, can deliver painful stings. Additionally, ants can be a sign of underlying issues like moisture problems or food sources attracting them. Ant extermination services help address these issues by removing the pests and implementing strategies to minimize the risk of re-infestation.

Various types of properties utilize ant extermination services, ranging from single-family homes to large commercial facilities. Residential properties often seek these services to protect their kitchens, pantries, and gardens from ant invasions. Commercial establishments such as restaurants, grocery stores, and office buildings also require pest control to maintain hygiene standards and comply with health regulations. In industrial settings, pest control helps prevent disruptions caused by infestations that could impact operations or product safety. Regardless of property size or type, professional extermination ensures effective and safe pest management.

Partnering with local pest control providers for ant extermination services offers property owners access to experienced professionals equipped with the latest treatment methods. These experts assess the severity of the infestation, identify contributing factors, and develop customized plans to eliminate ants efficiently. By addressing both visible infestations and potential nesting sites, local service providers help create a pest-free environment. Contacting a local pest control professional is a practical step toward managing ant problems and safeguarding the property from future invasions.

The overview below groups typical Ants Extermination Service projects into broad ranges so you can see how smaller, mid-sized, and larger jobs often compare in Plano, TX.

In many markets, a large share of routine jobs stays in the lower and middle ranges, while only a smaller percentage of projects moves into the highest bands when the work is more complex or site conditions are harder than average.

Initial Inspection - Costs for an ant extermination inspection typically range from $50 to $150, depending on property size and complexity. This fee often covers identifying ant species and locating nests.

One-Time Treatment - A single ant treatment service usually costs between $100 and $300. Larger properties or severe infestations may incur higher charges within this range.

Multiple Treatments - For ongoing ant control, prices for multiple treatments can range from $200 to $600. The total cost varies based on the number of visits needed to fully eliminate the colony.

Preventive Services - Preventive ant control services generally cost between $75 and $200 annually. These services focus on barrier treatments and exclusion methods to reduce future ant activity.

Actual totals will depend on details like access to the work area, the scope of the project, and the materials selected, so use these as general starting points rather than exact figures.

Get an Ants Extermination Service Quote

Ants Extermination services involve identifying ant entry points and nesting areas to develop effective removal strategies. Local service providers can assist with targeted treatments to eliminate ant colonies from residential and commercial properties.

Ant Control Treatments include applying chemical or bait solutions to reduce ant populations and prevent future infestations. Professionals use proven methods tailored to the specific ant species present.

Preventive Ant Management services focus on sealing entry points and removing attractants to minimize the risk of ant invasions. Local experts can evaluate property conditions and recommend effective preventive measures.

Residential Ant Extermination addresses ant problems in homes, targeting kitchens, bathrooms, and other common areas. Skilled technicians employ safe and efficient treatment options for household environments.

Commercial Ant Control services help businesses maintain pest-free premises by implementing integrated strategies to control and prevent ant infestations. Local providers offer customized solutions for various commercial settings.

Ant Infestation Monitoring involves ongoing inspections to detect early signs of ant activity and prevent larger outbreaks. Professional monitoring helps maintain a pest-free environment over time.

Ants Extermination Service

When comparing local pros for ant control services, experience is an important factor to consider. Homeowners should look for service providers with a proven track record in ant extermination within the community. Established local contractors often have extensive knowledge of common ant species and effective treatment methods specific to the area. This familiarity can contribute to more efficient and targeted solutions, helping to address the root causes of ant infestations.

Clear and written expectations are essential when evaluating potential service providers. Reputable local pros typically outline the scope of work, treatment procedures, and any necessary follow-up steps in their communications. This transparency helps homeowners understand what to anticipate from the service, ensuring there are no surprises and that the process aligns with their needs.

Reputation and communication are key components when selecting a local ant extermination service. Reliable providers often have references or reviews from neighbors and community members that can offer insights into their professionalism and effectiveness. Additionally, open and responsive communication from the service provider can help homeowners feel confident in their choice, knowing that questions and concerns will be addressed clearly throughout the process.

Get an Ants Extermination Service Quote

Property owners in Plano, TX use Ants Extermination Service services for practical projects around their homes and businesses. The sections below highlight everyday jobs and straightforward project options.

Ants Extermination Service
Ants Extermination Service

Ants extermination services are commonly sought by property owners in Plano, TX, facing persistent ant problems in residential or commercial spaces. These pests can invade kitchens, living areas, or outdoor spaces, creating nuisances and potential health concerns. Local service providers offer targeted treatments to eliminate ant colonies and prevent future infestations, helping property owners maintain a clean and comfortable environment.

In addition to ongoing household maintenance, property owners may seek ant extermination services after noticing signs of activity, such as trails or ant mounds. Seasonal changes or changes in landscaping can also prompt inspections and treatments by local professionals. Engaging experienced contractors ensures effective pest control solutions tailored to the specific needs of properties in the Plano area.

Get an Ants Extermination Service Quote

How do ant extermination services work? Ant extermination services typically involve inspection, treatment application, and follow-up to eliminate ant colonies and prevent future infestations.

Are the treatments safe for children and pets? Many extermination methods are designed to be safe for households with children and pets, but it’s best to discuss safety concerns with the local service provider.

How long does an ant extermination treatment take? The duration varies depending on the extent of the infestation and the treatment method used, but most treatments are completed within a few hours.

Will I need multiple treatments to eradicate ants? Some ant issues may require multiple treatments or ongoing monitoring to ensure complete removal and prevent re-infestation.

How can I prevent future ant problems? Local pros often recommend sealing entry points, maintaining cleanliness, and removing food sources to help prevent future ant issues.

Ants Extermination Techniques - Local service providers utilize a variety of methods, including baiting and targeted treatments, to effectively address ant infestations.

Signs of Ant Infestation - Professionals can identify common indicators such as trails, nests, and ant sightings to determine the extent of the problem.

Preventative Ant Control Tips - Service providers offer advice on reducing attractants and sealing entry points to help prevent future ant issues.

Choosing a Pest Control Expert - Contacting experienced local pros ensures tailored solutions for ant problems in residential and commercial properties.

Ants Extermination Service

Considering Ants Extermination Service for a property in Plano, TX? The sections above highlight common project types, practical options, and details that often shape the scope of work.

When you are ready, use the quote form to share a few details about your project. Local pros can review the basics and respond with options that match what you have in mind.

Get an Ants Extermination Service Quote

Ants Extermination Quotes

Our Trusted Partners
Cantu Pest Control
Orkin
Hawx Pest Control