Local Service Overview

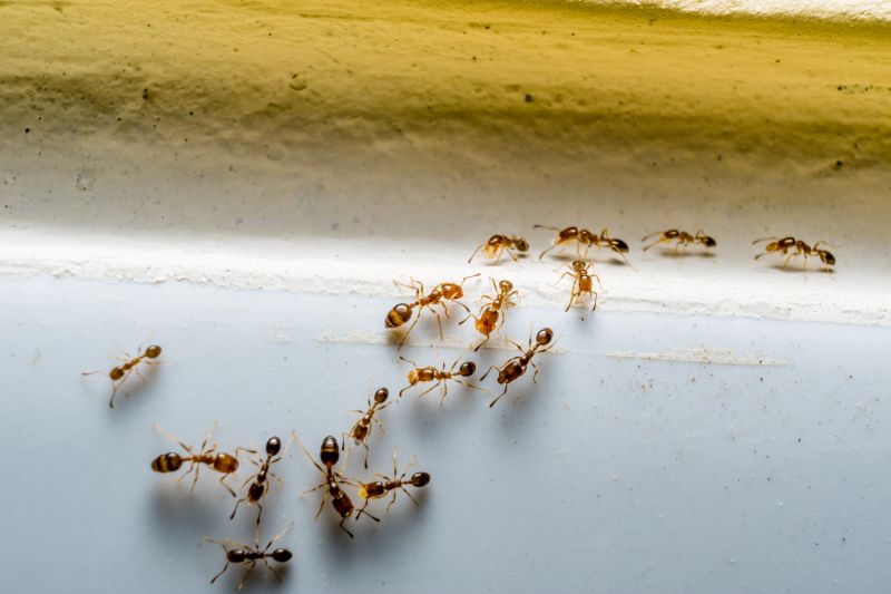
Get Ants Extermination Service in Euless, TX

Ants extermination services for property owners in Euless, TX, and nearby areas address ant infestations, including residential and commercial pest removal and prevention projects.

Euless, TX

Ants extermination services are a practical solution for property owners in Euless, TX seeking to maintain a comfortable and safe living environment. Ant invasions can disrupt daily routines, damage structures, and contaminate food supplies, making prompt and effective removal essential. Professional extermination providers use targeted methods to eliminate ant colonies, helping to restore peace of mind and ensure the safety of residents and visitors alike.

Choosing expert ant control services offers benefits such as enhanced property functionality and curb appeal. A pest-free environment reduces the likelihood of ongoing infestations, which can lead to decreased maintenance needs and preserve the durability of building materials. Additionally, a clean, pest-free space contributes to a more inviting appearance, supporting overall property value and neighborhood appeal.

Get Ants Extermination Service Quotes

  • Ant Infestation Removal - needed when ants invade homes or businesses in Euless, TX and surrounding areas.
  • Kitchen Ant Control - required when ants are attracted to food sources in kitchens and dining spaces.
  • Outdoor Ant Extermination - necessary for eliminating ant colonies around yards and garden areas near Dallas and Fort Worth.
  • Carpenter Ant Treatment - advised when wood structures show signs of ant activity or damage in residential properties.
  • Preventive Ant Control - recommended to stop ant problems before they begin in homes and commercial buildings across the region.

Get Ants Extermination Service Quotes

Ants Extermination Service
Ants Extermination Service
Ants Extermination Service

Ants extermination services involve the identification and elimination of ant colonies within residential, commercial, or industrial properties. Professional exterminators typically conduct thorough inspections to locate nests and determine the species involved, which helps in selecting the most effective treatment methods. The process may include targeted baiting, use of insecticides, and barrier treatments to prevent future infestations. These services aim to address ant problems efficiently, reducing the nuisance and potential damage caused by these pests.

Ant infestations can pose various problems for property owners, including structural damage, contamination of food supplies, and general discomfort. Certain ant species, such as carpenter ants, are known to damage wood structures, while others, like fire ants, can pose health risks through painful stings. Ants can also become a persistent nuisance in kitchens, pantries, and other areas where food is stored or prepared. Professional extermination services help mitigate these issues by removing existing colonies and implementing preventative measures to minimize the chance of future invasions.

Properties that commonly utilize ants extermination services include single-family homes, apartment complexes, restaurants, and retail stores. Residential properties often seek help when ants invade kitchens, bathrooms, or outdoor spaces, disrupting daily routines. Commercial properties, especially those involved in food handling or storage, prioritize pest control to maintain hygiene standards and comply with health regulations. Additionally, property managers and business owners may engage exterminators to address ant problems promptly and prevent the spread of infestations across multiple units or areas.

Engaging with local pest control providers ensures access to experienced professionals who can tailor treatments to the specific needs of each property. These experts assess the extent of the ant problem, determine the appropriate treatment plan, and advise on measures to prevent future occurrences. By addressing ant infestations promptly, property owners can maintain a cleaner, safer environment while reducing the risk of damage or health issues associated with persistent ant activity.

The overview below groups typical Ants Extermination Service projects into broad ranges so you can see how smaller, mid-sized, and larger jobs often compare in Euless, TX.

In many markets, a large share of routine jobs stays in the lower and middle ranges, while only a smaller percentage of projects moves into the highest bands when the work is more complex or site conditions are harder than average.

Initial Inspection - The cost for an ant inspection typically ranges from $50 to $150, depending on the property size and infestation level. This fee covers a thorough assessment by local service providers in Euless, TX and nearby areas.

Basic Treatment - A standard ant extermination service usually costs between $100 and $300. Prices vary based on the extent of the infestation and the treatment method used by local professionals.

Multiple Treatments - For ongoing or severe ant problems, multiple treatments can range from $200 to $500. This includes follow-up visits and additional application costs as needed.

Preventive Services - Preventive ant control measures generally cost between $150 and $400. These services aim to reduce future ant activity and may involve barrier treatments or ongoing monitoring by local pros.

Actual totals will depend on details like access to the work area, the scope of the project, and the materials selected, so use these as general starting points rather than exact figures.

Get an Ants Extermination Service Quote

Ants Extermination - Local pest control providers offer specialized services to eliminate ant infestations in residential and commercial properties. They utilize targeted treatments to address the specific types of ants present.

Ants Prevention - Service providers can implement strategies to prevent future ant problems, including sealing entry points and advising on sanitation practices. This helps maintain a pest-free environment over time.

Ants Inspection - Professionals conduct thorough inspections to identify ant activity, nesting sites, and entry points, providing detailed assessments to inform effective treatment plans.

Ants Baiting - Local pros may set up bait stations to attract and eliminate ants at the source, reducing the colony and preventing further spread within the property.

Ants Barrier Treatments - Service providers apply barrier treatments around the perimeter of buildings to create a protective zone against ant entry and infestation.

Ants Removal Consultation - Experts offer consultations to discuss ant problems, recommend appropriate treatment options, and advise on long-term pest management strategies.

Ants Extermination Service

When selecting an ant extermination service, considering the experience of local professionals can be a valuable factor. Many service providers have years of working in the community, which can translate into a deeper understanding of common ant issues in areas like Euless, TX, and surrounding neighborhoods. Homeowners may wish to review the background of different contractors to gauge their familiarity with local ant species and effective treatment methods, helping to ensure the chosen provider has a solid track record in handling similar situations.

Clear communication and written expectations are essential when engaging with ant extermination specialists. Pros often provide detailed service descriptions and outline what homeowners can anticipate during and after treatment. This transparency helps set realistic expectations and ensures that both parties are aligned on the scope of work. Homeowners are encouraged to discuss any specific concerns or preferences upfront, which can lead to a smoother service experience and better results.

Reputable references and reviews can serve as useful indicators of a local pro’s reliability and quality of service. Many homeowners rely on recommendations from friends, neighbors, or online review platforms to identify trusted providers. When comparing options, it’s beneficial to seek out service providers with positive feedback from previous clients in the community. Additionally, established professionals often maintain consistent communication, providing updates and answering questions throughout the process, which can contribute to a more confident and informed decision-making process.

Get an Ants Extermination Service Quote

Property owners in Euless, TX use Ants Extermination Service services for practical projects around their homes and businesses. The sections below highlight everyday jobs and straightforward project options.

Ants Extermination Service
Ants Extermination Service

Ants extermination services are commonly sought after by property owners in Euless, TX, who encounter persistent ant infestations in their homes or businesses. Whether ants are invading kitchens, pantry areas, or outdoor spaces, local service providers can assist with targeted treatments to eliminate the pests and prevent future invasions. Property owners often look for professional help when over-the-counter solutions prove ineffective or when ant problems become a recurring nuisance.

In addition to immediate removal, property owners may seek ants extermination services to address underlying issues such as moisture problems or entry points that allow ants to invade. Regular inspections and preventative treatments by local professionals can help maintain a pest-free environment. Residents and business owners in Euless, TX, turn to local service providers to handle these common projects efficiently and effectively.

Get an Ants Extermination Service Quote

How do ant extermination services work? Ant extermination services typically involve inspecting the property to identify ant entry points and nests, followed by applying targeted treatments to eliminate the colony and prevent future infestations.

Are ant extermination methods safe for pets and children? Most professional ant treatments are designed to be safe when applied by experienced service providers, but it is recommended to follow any specific instructions provided by the local pros to ensure safety.

How long does an ant extermination treatment usually last? The effectiveness duration varies depending on the treatment type and extent of the infestation, with some treatments providing protection for several months.

Can ant extermination services prevent future invasions? Yes, many services include preventative measures to reduce the likelihood of future ant problems, such as sealing entry points and advising on sanitation practices.

How can I prepare my home before ant extermination service? It is generally advised to keep food stored properly, remove clutter around entry points, and inform the service provider of any active ant areas to ensure effective treatment.

Ants Inspection Services - Professionals can identify ant activity and determine the extent of an infestation to develop an effective treatment plan.

Ants Baiting Solutions - Local service providers can set up bait stations to target ant colonies and reduce their populations.

Ants Barrier Treatments - Experts can apply residual barriers around structures to prevent ants from entering indoor spaces.

Ants Removal and Cleanup - Trained pros can eliminate visible ants and clean affected areas to discourage future activity.

Ants Extermination Service

Considering Ants Extermination Service for a property in Euless, TX? The sections above highlight common project types, practical options, and details that often shape the scope of work.

When you are ready, use the quote form to share a few details about your project. Local pros can review the basics and respond with options that match what you have in mind.

Get an Ants Extermination Service Quote

Ants Extermination Quotes

Our Trusted Partners
Cantu Pest Control
Orkin
Hawx Pest Control