Local Service Overview

Get Ant Control Service in Krum, TX

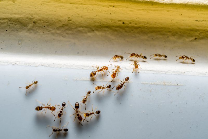
Ant control services for property owners in Krum, TX, and nearby areas address ant infestations, prevent future invasions, and handle residential or commercial ant removal projects.

Krum, TX

Ant control services are an important consideration for property owners in Krum, TX who want to maintain a comfortable and safe living environment. Effective ant management helps prevent unwanted infestations that can disrupt daily routines, damage property structures, and contaminate food supplies. By addressing ant issues promptly, homeowners can enjoy a more functional outdoor and indoor space, free from the nuisance and potential health concerns associated with these pests.

Engaging professional ant control services offers several benefits, including enhanced durability of property features and reduced ongoing maintenance needs. Proper treatment can help preserve landscaping, prevent structural damage caused by ant colonies, and improve curb appeal by keeping yards and exteriors tidy. Many property owners seek these services to create a safer, more inviting environment while protecting the long-term value of their homes.

Get Ant Control Service Quotes

  • Ant Control Services - needed when ants invade homes or businesses in Krum, TX and surrounding areas.
  • Ant prevention and elimination services are essential for property owners experiencing persistent ant activity.
  • Professional ant control is recommended for infestations that threaten to spread or cause damage.
  • Seasonal ant treatments can help maintain a pest-free environment in residential and commercial spaces.
  • Ongoing ant management services are available for those seeking long-term solutions in nearby communities.

Get Ant Control Service Quotes

Ant Control Service
Ant Control Service
Ant Control Service

Ant control services involve identifying and eliminating ant infestations within a property. These services typically include thorough inspections to locate ant colonies and entry points, followed by targeted treatment methods to remove the pests. Professionals may use a combination of baiting, insecticides, and barrier treatments to ensure effective eradication. The goal is to reduce ant populations and prevent future invasions, creating a more comfortable and pest-free environment.

Ant problems can lead to various issues for property owners, including nuisance concerns, potential damage to structures, and contamination of food and surfaces. Certain ant species, such as fire ants or carpenter ants, can pose specific risks-fire ants may sting and cause allergic reactions, while carpenter ants can damage wood structures. Addressing an ant infestation promptly with professional services helps mitigate these problems and minimizes the risk of ongoing pest activity.

Properties that commonly utilize ant control services include residential homes, especially those with gardens or outdoor spaces that attract ants. Commercial properties, such as restaurants, grocery stores, and warehouses, also often require ant management to maintain hygiene standards and prevent pest-related disruptions. Additionally, agricultural or storage facilities may seek ant control to protect crops, stored products, and equipment from infestation.

Engaging with local pest control providers for ant management ensures tailored solutions suited to the specific needs of each property. These professionals assess the extent of the infestation, recommend appropriate treatment strategies, and implement measures to control current populations and prevent future occurrences. Proper ant control services can contribute to a cleaner, safer, and more pest-free environment across various types of properties.

The overview below groups typical Ant Control Service projects into broad ranges so you can see how smaller, mid-sized, and larger jobs often compare in Krum, TX.

In many markets, a large share of routine jobs stays in the lower and middle ranges, while only a smaller percentage of projects moves into the highest bands when the work is more complex or site conditions are harder than average.

Initial Inspection - The cost for a comprehensive ant inspection typically ranges from $50 to $150. This fee covers identifying ant species and assessing infestation levels in Krum, TX and nearby areas.

Per-Visit Treatment - Single-treatment services usually cost between $100 and $250. Prices vary depending on the size of the affected area and the severity of the ant problem.

Ongoing Pest Management - Monthly or quarterly ant control plans can range from $30 to $75 per visit. These plans aim to prevent future infestations through regular treatments.

Specialized Baiting Programs - Baiting services might cost between $150 and $300 for a tailored program. Costs depend on the extent of the infestation and the number of bait stations needed.

Actual totals will depend on details like access to the work area, the scope of the project, and the materials selected, so use these as general starting points rather than exact figures.

Get an Ant Control Service Quote

Ant Control Solutions - Local pest control providers offer specialized services to eliminate ant colonies and prevent future invasions in residential and commercial properties.

Ant Infestation Removal - Service professionals utilize targeted treatments to effectively remove existing ant infestations and minimize the risk of re-infestation.

Ant Prevention Treatments - Experts apply preventative measures to deter ants from entering buildings, focusing on sanitation and barrier methods.

Outdoor Ant Control - Local providers address ant activity in lawns, gardens, and outdoor structures to reduce their presence around properties.

Ant Nest Identification - Pest control specialists locate and treat ant nests to eliminate colonies at their source for long-term control.

Commercial Ant Control - Commercial pest management services are available to address ant issues in business environments, ensuring minimal disruption.

Ant Control Service

When evaluating local providers for ant control services, it is important to consider their experience in handling pest issues similar to those encountered in Krum, TX and surrounding areas. A contractor’s background in ant management can influence the effectiveness of their treatments and their ability to address various ant species and infestation levels. Homeowners should seek out service providers with a proven track record in pest control, ensuring they have a comprehensive understanding of ant behavior and the most effective strategies for elimination.

Clear communication and written expectations are essential when working with ant control specialists. Reputable providers typically outline their service procedures, what homeowners can expect during and after treatment, and any necessary preparations. Having these details in writing helps prevent misunderstandings and ensures that both parties are aligned on the scope and nature of the service. Homeowners are encouraged to ask prospective providers about their process, guarantees, or follow-up protocols to establish transparency before committing.

References from previous clients and a history of reputable service are valuable indicators of a provider’s reliability and professionalism. While reviews and testimonials can offer insight, direct references or recommendations from trusted sources can provide additional confidence in a contractor’s ability to deliver quality results. Effective communication is also key; service providers who are responsive, clear, and attentive to homeowner questions tend to foster a more positive experience. It is important to remember that the information below introduces local options and is not the contractor, but rather a resource to connect homeowners with qualified professionals in their area.

Get an Ant Control Service Quote

Property owners in Krum, TX use Ant Control Service services for practical projects around their homes and businesses. The sections below highlight everyday jobs and straightforward project options.

Ant Control Service
Ant Control Service

Ant control services are often sought by property owners in Krum, TX, dealing with common household intrusions. Ants can appear unexpectedly, especially during warmer months, and may invade kitchens, pantries, or outdoor living areas. Local professionals can assist with identifying the ant species, locating nests, and implementing effective treatment methods to reduce infestations and prevent future visits.

Many property owners turn to ant control services when facing ongoing or recurring ant problems that disrupt daily routines. Factors such as food spills, moisture issues, or nearby landscaping can attract ants to residential or commercial properties. Experienced service providers can offer tailored solutions to address these specific conditions, helping maintain a clean and pest-free environment in Krum and surrounding areas.

Get an Ant Control Service Quote

How do ant control services work? Ant control services typically involve identifying ant species, locating nests, and applying targeted treatments to eliminate colonies and prevent future infestations.

Are ant control treatments safe for pets and children? Many ant control methods are designed to be safe around pets and children, but it’s recommended to discuss concerns with local service providers to ensure appropriate precautions are taken.

How long does an ant control treatment last? The duration of effectiveness varies depending on the treatment type and extent of the infestation, with some treatments providing protection for several months.

Will ant control services prevent future ant problems? Professional ant control aims to eliminate current colonies and may include recommendations to reduce attractants, helping to prevent future ant issues.

How can I prepare for an ant control service? Preparing may involve clearing treated areas, removing food and water sources, and following any specific instructions provided by the service provider to ensure effective treatment.

Ant Control Solutions - Local service providers can assess ant infestations and recommend effective treatment options tailored to specific needs.

Preventive Ant Management - Pros offer strategies to reduce attractants and entry points, helping to minimize future ant problems around properties.

Eco-Friendly Treatment Options - Many providers utilize safe and effective methods to control ants without harming the surrounding environment.

Ongoing Monitoring and Maintenance - Service professionals can establish regular inspections to ensure ant issues are kept under control over time.

Ant Control Service

Considering Ant Control Service for a property in Krum, TX? The sections above highlight common project types, practical options, and details that often shape the scope of work.

When you are ready, use the quote form to share a few details about your project. Local pros can review the basics and respond with options that match what you have in mind.

Get an Ant Control Service Quote

Ant Control Quotes

Our Trusted Partners
Cantu Pest Control
Orkin
Hawx Pest Control
Mosquito Shield