Local Service Overview

Get Red Ant Extermination in Justin, TX

Red Ant Extermination services for property owners in Justin, TX, typically address pest infestations such as ants, spiders, roaches, and rodents through targeted treatment and prevention projects.

Justin, TX

Red ant extermination services are a practical solution for property owners in Justin, TX seeking to protect their homes and outdoor spaces from invasive pests. These services help reduce the risk of ant infestations that can cause damage to structures, create unsanitary conditions, and interfere with outdoor activities. By addressing ant problems promptly, property owners can enjoy a more comfortable and functional living environment, free from the nuisance and potential health concerns associated with ant colonies.

Engaging professional extermination services offers several benefits, including enhanced safety, increased durability of landscaping, and improved curb appeal. Effective pest control not only minimizes the need for ongoing maintenance but also helps preserve the integrity of a property’s exterior. Property owners often look for solutions that deliver long-lasting results, ensuring their outdoor spaces remain inviting, safe, and visually appealing for years to come.

Get Red Ant Extermination Quotes

  • Red Ant Extermination services are essential when red ants invade residential or commercial properties in Justin, TX, and surrounding areas.
  • Professional exterminators can assist with red ant infestations that threaten outdoor living spaces or garden areas.
  • Individuals experiencing persistent ant mounds or nests on their property may seek specialized red ant removal solutions.
  • Services are also needed for red ant control in areas where the insects pose a risk to children or pets.
  • Property owners facing recurring red ant issues after DIY treatments may consider professional pest management options.

Get Red Ant Extermination Quotes

Red Ant Extermination
Red Ant Extermination
Red Ant Extermination

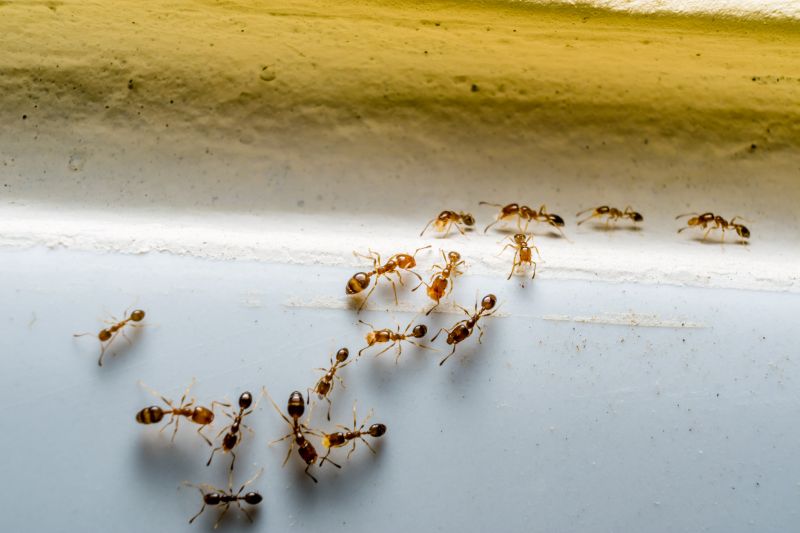
Red ant extermination services focus on eliminating red ant colonies from residential, commercial, and outdoor properties. These services typically involve thorough inspections to identify active ant nests and infested areas. Exterminators may employ various treatment methods, such as targeted baiting, residual sprays, or dust applications, to effectively eradicate the colonies and prevent future invasions. The goal is to reduce or eliminate red ant populations, minimizing the nuisance and potential damage they can cause to property and landscaping.

Red ants can pose significant problems for property owners, especially when their colonies grow large or become deeply embedded in lawns, gardens, or structures. Their bites can cause discomfort, and in some cases, allergic reactions. Additionally, red ants may damage plants or interfere with outdoor activities. Extermination services help address these issues by controlling the ant populations, reducing the risk of bites, and protecting the integrity of landscaping and outdoor spaces.

Properties that frequently utilize red ant extermination services include homes, apartment complexes, restaurants, and commercial facilities with outdoor areas. Residential properties often seek treatment around gardens, patios, and lawns where ant activity is noticeable. Commercial properties, especially those with outdoor dining or food storage areas, may require regular pest management to maintain a pest-free environment. Additionally, parks, playgrounds, and recreational spaces are common sites where professional extermination helps manage ant populations and ensure safety.

Engaging local pest control providers for red ant extermination ensures tailored solutions suited to specific property needs. These professionals assess the extent of the infestation, recommend appropriate treatment strategies, and implement measures to control and prevent future outbreaks. Regular inspections and targeted treatments can help property owners maintain ant-free environments and reduce the likelihood of recurring problems. Contacting experienced local providers is an effective step toward managing red ant issues on various types of properties.

The overview below groups typical Red Ant Extermination projects into broad ranges so you can see how smaller, mid-sized, and larger jobs often compare in Justin, TX.

In many markets, a large share of routine jobs stays in the lower and middle ranges, while only a smaller percentage of projects moves into the highest bands when the work is more complex or site conditions are harder than average.

Initial Inspection - The cost for an initial pest inspection typically ranges from $100 to $300, depending on the property size and location. This fee covers a thorough assessment to identify pest activity and entry points.

Basic Treatment - Standard Red Ant extermination services usually cost between $150 and $400 for a single treatment. Prices vary based on the severity of the infestation and the treatment method used.

Multiple Treatments - For ongoing or severe infestations requiring multiple visits, costs can range from $300 to $800. Service providers may recommend follow-up treatments to ensure complete eradication.

Wasp & Hornet Removal - Removing wasp or hornet nests generally costs between $100 and $250, depending on nest location and size. Local pros can provide targeted services to safely eliminate these pests.

Actual totals will depend on details like access to the work area, the scope of the project, and the materials selected, so use these as general starting points rather than exact figures.

Get a Red Ant Extermination Quote

Ant Extermination - Local pest control providers offer specialized services to eliminate ant infestations, ensuring a pest-free environment around residential and commercial properties.

Cockroach Extermination - Pros experienced in cockroach removal utilize targeted methods to address infestations and prevent future occurrences in homes and businesses.

Termite Control - Local contractors provide treatments to protect structures from termite damage, focusing on both detection and eradication strategies.

Bee and Wasp Removal - Service providers safely remove bee and wasp nests, reducing the risk of stings and ensuring safety for occupants.

Rodent Extermination - Local pest control experts implement trapping and exclusion techniques to control rodent populations around properties.

Spider Control - Pros offer spider removal services to reduce populations and create a safer indoor environment for residents and visitors.

Red Ant Extermination

When evaluating Red Ant Extermination services, considering the experience of local professionals can be an important factor. Homeowners may want to inquire about how long a service provider has been operating in the Justin, TX area and their familiarity with local ant behaviors and environments. Experienced pros often have a deeper understanding of effective treatment methods and can tailor their approach to the specific needs of the home and surrounding landscape. Gathering information about a provider’s background can help ensure that the selected contractor has a solid track record of handling ant infestations efficiently and effectively.

Clear communication and written expectations are key elements when working with pest control providers. Homeowners should seek professionals who provide detailed service descriptions, including the scope of work, treatment methods, and any follow-up procedures. Having these expectations documented in writing can help prevent misunderstandings and ensure that the homeowner understands what services will be performed. Transparent communication also allows for questions and clarifications, fostering a more collaborative and informed experience throughout the process.

Reputable references and reviews from previous clients can offer valuable insights into the reliability and quality of local pest control providers. Homeowners may want to ask for references or look for online reviews that highlight the provider’s professionalism, responsiveness, and results. Consistent positive feedback can be an indicator of a contractor’s reputation within the community. Additionally, establishing open lines of communication with the chosen professional can facilitate ongoing updates, scheduling, and any necessary adjustments, contributing to a smoother service experience.

Get a Red Ant Extermination Quote

Property owners in Justin, TX use Red Ant Extermination services for practical projects around their homes and businesses. The sections below highlight everyday jobs and straightforward project options.

Red Ant Extermination
Red Ant Extermination

Red ant extermination services are commonly sought by property owners in Justin, TX when they notice an increasing presence of these pests around their homes or businesses. These ants can invade outdoor spaces, such as lawns and gardens, and sometimes find their way indoors, creating nuisance situations for residents and disrupting daily activities. Local service providers are often contacted to assess the extent of an ant problem and implement targeted treatment plans to eliminate colonies and prevent future infestations.

Property owners may also seek red ant extermination after experiencing bites or seeing ant trails crossing walkways and driveways. In addition to the discomfort and inconvenience caused, the presence of red ants can indicate larger pest issues that require professional attention. Local pest control specialists offer solutions to address these concerns effectively, helping to maintain a safe and comfortable environment on residential and commercial properties in the Justin area.

Get a Red Ant Extermination Quote

How do I know if I have a red ant infestation? Signs of a red ant problem include visible ants around the home, especially near entry points, along with small mounds of soil or dirt near foundations and outdoor areas.

Are red ants dangerous to humans? Red ants can sting and bite if they feel threatened, which may cause pain, swelling, or allergic reactions in some individuals.

What methods do extermination services use to eliminate red ants? Local service providers typically use targeted treatments such as baits, sprays, and barriers to effectively control red ant populations.

How long does red ant extermination usually take? The duration of treatment varies depending on the extent of the infestation and the treatment method used by the service provider.

Is ongoing prevention necessary after extermination? Yes, ongoing prevention measures can help reduce the chance of future infestations, and local pros can provide recommendations for maintaining control.

Red Ant Extermination Services - Local pest control providers offer specialized treatments to eliminate red ants effectively from residential and commercial properties.

Inspection and Identification - Pros can assess infested areas to identify ant colonies and determine the most appropriate extermination methods.

Targeted Treatment Solutions - Service providers utilize various approaches, including baits and barriers, to control and prevent red ant infestations.

Follow-up and Prevention Advice - Experts can advise on measures to reduce future ant activity and maintain a pest-free environment.

Red Ant Extermination

Considering Red Ant Extermination for a property in Justin, TX? The sections above highlight common project types, practical options, and details that often shape the scope of work.

When you are ready, use the quote form to share a few details about your project. Local pros can review the basics and respond with options that match what you have in mind.

Get a Red Ant Extermination Quote

Red Ant Extermination Quotes

Our Trusted Partners
Cantu Pest Control
Orkin
Hawx Pest Control
Mosquito Shield