Local Service Overview

Get Black Ant Extermination in Ponder, TX

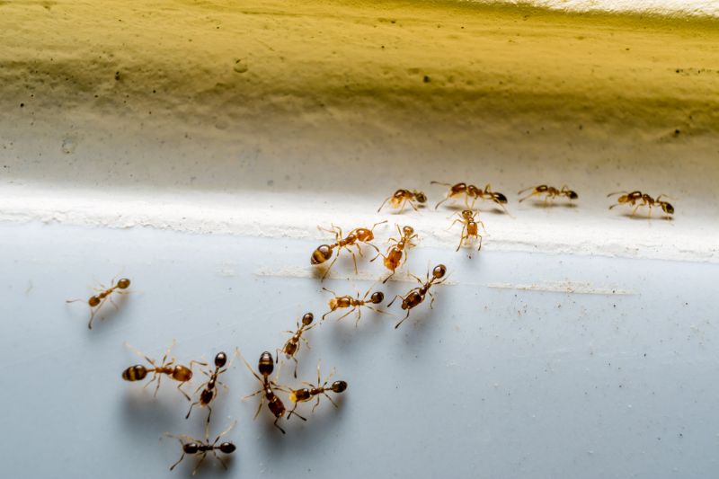
Black Ant Extermination services for Ponder, TX, and nearby areas address ant infestations, nests, and ongoing pest control needs for residential and commercial properties.

Ponder, TX

Black ant extermination services are a practical solution for property owners in Ponder, TX seeking to maintain a comfortable and safe living environment. These services help eliminate persistent ant infestations that can disrupt daily routines, damage structures, or contaminate food supplies. By addressing ant problems promptly, property owners can enjoy a more functional space with reduced concerns about pests, allowing for better peace of mind and overall comfort within their homes or commercial properties.

Choosing professional ant extermination also offers benefits related to durability and curb appeal. Effective treatments can prevent future infestations, minimizing ongoing maintenance needs and protecting the integrity of the property’s structure. Additionally, a pest-free exterior enhances the visual appeal of a property, contributing to a well-maintained and inviting appearance. Engaging local service providers ensures tailored solutions that meet the specific needs of properties in Ponder, TX, promoting long-term satisfaction and a pest-free environment.

Get Black Ant Extermination Quotes

  • Black ant extermination services are needed when infestations threaten homes or businesses in areas like Ponder, TX and surrounding communities.
  • Professional ant control may be required if ants are invading kitchens, pantries, or other indoor spaces.
  • Services are often sought when outdoor ant colonies are near residential or commercial properties in nearby neighborhoods.
  • Ant extermination might be necessary after discovering large ant colonies in yards or garden beds.
  • Contact local pest control providers for assistance when ant activity persists despite basic prevention efforts.

Get Black Ant Extermination Quotes

Black Ant Extermination
Black Ant Extermination
Black Ant Extermination

Black ant extermination services focus on identifying and eliminating ant colonies that invade residential and commercial properties. These services typically involve thorough inspections to locate nests and entry points, followed by targeted treatments using specialized insecticides. The goal is to reduce ant populations effectively and prevent future infestations. Professionals may also recommend ongoing monitoring or preventative measures to ensure that ant activity remains under control over time.

Ant infestations can cause various problems for property owners, including nuisance issues, structural damage, and contamination of food supplies. Black ants, in particular, are known for establishing large colonies that can quickly spread throughout a property if not addressed promptly. Their presence can be especially problematic in kitchens, pantries, or storage areas, where they may contaminate food and surfaces. Exterminating these pests helps restore comfort and hygiene, reducing the risk of further infestation or damage.

The types of properties that commonly utilize black ant extermination services include single-family homes, apartment complexes, restaurants, and retail stores. Residential properties often seek these services to eliminate ant problems in kitchens, basements, or yards. Commercial establishments, especially food service businesses, prioritize pest control to maintain cleanliness and comply with health standards. Additionally, property managers and landlords may arrange for regular pest control to manage ant populations across multiple units or common areas.

Professional black ant extermination services are tailored to address the specific needs of each property type and infestation severity. Service providers use a combination of inspection, treatment, and prevention strategies to help property owners manage ant issues effectively. Contacting local pest control specialists can provide tailored solutions designed to minimize disruptions and protect the property from ongoing ant activity.

The overview below groups typical Black Ant Extermination projects into broad ranges so you can see how smaller, mid-sized, and larger jobs often compare in Ponder, TX.

In many markets, a large share of routine jobs stays in the lower and middle ranges, while only a smaller percentage of projects moves into the highest bands when the work is more complex or site conditions are harder than average.

Initial Inspection - The cost for a black ant extermination inspection typically ranges from $100 to $250. This fee often covers a thorough assessment of the affected areas to identify the extent of the infestation.

One-Time Treatment - A single treatment for black ants usually costs between $150 and $300. The price varies based on the size of the property and the severity of the infestation.

Ongoing Pest Control - Monthly pest control services for black ants can range from $40 to $70 per visit. These plans often include regular treatments to prevent future infestations.

Additional Services - Extra services such as baiting or nest removal may add $50 to $150 per session. Costs depend on the complexity of the treatment required by local service providers.

Actual totals will depend on details like access to the work area, the scope of the project, and the materials selected, so use these as general starting points rather than exact figures.

Get a Black Ant Extermination Quote

Ant Extermination - Local pest control providers offer specialized services to eliminate black ant infestations and prevent future invasions.

Indoor Ant Control - Pros focus on treating indoor areas where black ants are commonly found, ensuring effective removal and reducing household nuisance.

Outdoor Ant Barrier Services - Service providers create barriers around properties to stop black ants from entering living spaces, targeting nesting sites outside.

Ant Nest Removal - Local experts identify and safely remove black ant nests to address the source of the infestation and minimize recurring issues.

Preventative Pest Management - Professionals implement strategies to reduce the likelihood of black ant re-infestation through ongoing monitoring and treatment.

Emergency Ant Extermination - Immediate services are available from local providers for urgent black ant infestations that require prompt attention.

Black Ant Extermination

When selecting a professional for black ant extermination services, it is important to consider the experience of local providers. Homeowners should look for service providers who have a proven track record in pest control, specifically with ant eradication. Experienced pros are often familiar with common ant behaviors and effective treatment methods, which can contribute to more reliable results. Gathering information about how long a local contractor has been operating and their familiarity with the specific challenges in Ponder, TX, and nearby areas can help ensure a knowledgeable approach.

Clear communication and well-defined written expectations are essential when working with pest control providers. Homeowners should seek out professionals who provide detailed service descriptions, including the methods used, areas covered, and any follow-up procedures. Transparent communication helps set realistic expectations and ensures that both parties understand the scope of work. Reputable local pros typically have established procedures for explaining their services and addressing any questions or concerns before beginning treatment.

Reputation and references play a significant role in evaluating local ant extermination services. It is advisable to look for providers with established positive references from previous clients in the area. Reputable service providers often have a history of reliable work and satisfied customers, which can be verified through references or local reviews. Additionally, effective communication channels and responsiveness are indicators of professionalism, helping homeowners feel confident in their choice of a local pest control service.

Get a Black Ant Extermination Quote

Property owners in Ponder, TX use Black Ant Extermination services for practical projects around their homes and businesses. The sections below highlight everyday jobs and straightforward project options.

Black Ant Extermination
Black Ant Extermination

Black ant extermination services are commonly sought by property owners in Ponder, TX who notice persistent ant activity around their homes or businesses. These insects can invade kitchens, pantry areas, and outdoor spaces, making daily routines uncomfortable and challenging. Local service providers can assist with identifying ant entry points and applying targeted treatments to help reduce infestations and prevent future issues.

Homeowners may also look for ant extermination when they discover signs of large colonies or ant mounds on their property. In addition to the nuisance of ants crawling indoors or outdoors, some property owners are concerned about potential damage to structures or landscaping caused by ant activity. Local experts can offer solutions to address these concerns and help maintain a pest-free environment.

Get a Black Ant Extermination Quote

What are common signs of a black ant infestation? Signs include visible trails of ants, small piles of dirt or debris near entry points, and tiny ants inside the home or around windows and doors.

How do extermination services typically eliminate black ants? Local service providers often use targeted insect treatments, baiting systems, and barrier methods to remove black ant colonies and prevent future invasions.

Are black ants dangerous or harmful? Black ants are generally not harmful to humans, but they can be a nuisance and may contaminate food or surfaces if they invade indoor spaces.

Can black ant problems be prevented without professional help? Prevention tips include sealing entry points, keeping surfaces clean, and removing food sources, but persistent infestations usually require professional intervention.

How long does black ant extermination typically take? The duration varies depending on the severity of the infestation; a professional assessment can provide more specific information.

Black Ant Extermination Solutions - Local service providers offer targeted treatments to eliminate black ants and prevent future infestations.

Inspection and Identification - Professionals can assess property conditions to identify ant entry points and nesting areas for effective removal strategies.

Preventive Pest Management - Experts recommend ongoing prevention methods to keep black ants from returning to residential or commercial spaces.

Customized Treatment Plans - Service providers develop tailored approaches based on the severity of the infestation and specific property needs.

Black Ant Extermination

Considering Black Ant Extermination for a property in Ponder, TX? The sections above highlight common project types, practical options, and details that often shape the scope of work.

When you are ready, use the quote form to share a few details about your project. Local pros can review the basics and respond with options that match what you have in mind.

Get a Black Ant Extermination Quote

Black Ant Extermination Quotes

Our Trusted Partners
Cantu Pest Control
Orkin
Hawx Pest Control
Mosquito Shield