Local Service Overview

Get Black Ant Extermination in Prosper, TX

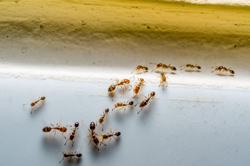
Black Ant Extermination services for property owners in Prosper, TX, and nearby areas address ant infestations, prevent damage, and handle residential or commercial pest control projects.

Prosper, TX

Black ant extermination services provide property owners in Prosper, TX with an effective solution to manage and eliminate ant infestations. Addressing these pests helps create a more comfortable living environment by reducing unwanted intruders that can disrupt daily routines. Proper pest control also enhances safety by preventing potential contamination of food and surfaces, contributing to a healthier home or business setting.

In addition to comfort and safety, professional ant extermination offers benefits such as improved property functionality and curb appeal. Removing persistent ant problems can reduce ongoing maintenance needs and protect structural elements from damage caused by infestations. This service supports the durability of the property while maintaining an attractive appearance, making it easier to enjoy and preserve the value of the space.

Get Black Ant Extermination Quotes

  • Ant Extermination - needed when black ants invade kitchens, pantries, or other indoor spaces.
  • Outdoor Ant Control - required to eliminate black ant colonies around yards, gardens, or building exteriors.
  • Infestation Removal - necessary when black ants have established nests inside walls or hard-to-reach areas.
  • Preventive Treatments - used to reduce the risk of future black ant invasions in residential or commercial properties.
  • Emergency Ant Services - sought when black ant problems suddenly escalate and require immediate attention.

Get Black Ant Extermination Quotes

Black Ant Extermination
Black Ant Extermination
Black Ant Extermination

Black ant extermination services focus on identifying and removing ant colonies that invade residential, commercial, and industrial properties. These services typically involve thorough inspections to locate nests and entry points, followed by targeted treatments using specialized insecticides or baiting systems. The goal is to eliminate existing ant populations and prevent future infestations, ensuring that property owners can regain control over their indoor and outdoor spaces.

Ant problems can cause significant nuisance and potential damage, especially when colonies establish themselves in areas like kitchens, pantries, or wall voids. Black ants are known for their persistent foraging behavior and ability to form large colonies, which can lead to ongoing infestations if not addressed promptly. In addition to the inconvenience, some ant species may contaminate food supplies or cause minor structural damage, prompting property owners to seek professional extermination services.

Properties that commonly utilize black ant extermination include single-family homes, apartment complexes, restaurants, retail stores, and warehouses. Homes with gardens or landscaped yards are often vulnerable to ant invasions, particularly during warmer months when colonies become more active. Commercial establishments, especially those involved in food storage or preparation, prioritize professional pest control to maintain hygiene standards and comply with health regulations.

Professional extermination providers employ a variety of methods tailored to the severity and location of the infestation. These services may include the strategic placement of bait stations, residual sprays, or dust treatments to target colonies at various stages of development. Regular inspections and follow-up treatments are often recommended to ensure that ant populations are fully eradicated and to prevent future invasions, helping property owners maintain pest-free environments.

The overview below groups typical Black Ant Extermination projects into broad ranges so you can see how smaller, mid-sized, and larger jobs often compare in Prosper, TX.

In many markets, a large share of routine jobs stays in the lower and middle ranges, while only a smaller percentage of projects moves into the highest bands when the work is more complex or site conditions are harder than average.

Initial Black Ant Extermination - The cost for a one-time treatment typically ranges from $150 to $300, depending on the size of the affected area. Larger properties or severe infestations may cost more, sometimes exceeding $400. Local pros can provide estimates based on specific needs.

Ongoing Black Ant Control - Monthly or quarterly service plans often cost between $50 and $100 per visit. These plans are suitable for maintaining ant-free environments and can vary based on property size and treatment frequency.

Per-Spot or Spot Treatment - Spot treatments targeting visible ant nests or trails usually fall within the $75 to $200 range. The cost depends on the number of nests and the extent of the infestation in the area.

Commercial Black Ant Services - Business or commercial property treatments generally start around $300 and can go over $1,000 for large or complex sites. Pricing varies based on the size of the property and the severity of the infestation.

Actual totals will depend on details like access to the work area, the scope of the project, and the materials selected, so use these as general starting points rather than exact figures.

Get a Black Ant Extermination Quote

Black Ant Extermination services connect property owners with local pest control providers experienced in identifying and eliminating black ant infestations. These professionals use targeted methods to address the specific behaviors and nesting habits of black ants.

Residential Pest Control providers offer black ant extermination solutions tailored to homes in Prosper, TX, helping to remove infestations and prevent future problems. They focus on safe and effective treatment options suitable for household environments.

Commercial Pest Management services assist local businesses in managing black ant issues that can impact operations or customer experience. These providers develop customized plans to handle infestations in various commercial settings.

Emergency Pest Control services are available for urgent black ant infestations that require immediate attention to prevent further spread or damage. Local pros respond quickly to address urgent pest concerns.

Infestation Inspection services involve thorough assessments to determine the extent of black ant activity and identify nesting sites. These evaluations help inform effective treatment strategies.

Preventative Pest Services providers offer ongoing solutions to help keep black ants from returning, including barrier treatments and habitat modification advice. Local experts assist in maintaining pest-free properties.

Black Ant Extermination

When selecting a professional for Black Ant Extermination services, it is important to consider the experience of local contractors. Homeowners should seek out providers who have a proven track record in pest control, particularly with ant infestations, to ensure they are familiar with effective treatment methods. Reputable professionals often have extensive experience working in the local area, which can translate into a better understanding of common pest issues and the most appropriate solutions.

Clear and written expectations are essential when working with a pest control service. Homeowners should inquire about the scope of work, the types of treatments used, and any preparations required before service. A detailed plan helps establish mutual understanding and ensures that both parties are aligned on the process. Service providers who communicate their procedures and address questions transparently can contribute to a smoother experience.

Reputation and references are valuable indicators of a local pest control provider’s reliability. Homeowners can look for service providers with positive references from previous clients in the community. Reputable companies often have a history of consistent service quality and professionalism. Effective communication throughout the process, including timely responses and clear updates, also plays a key role in selecting a trusted local pro for Black Ant Extermination services.

Get a Black Ant Extermination Quote

Property owners in Prosper, TX use Black Ant Extermination services for practical projects around their homes and businesses. The sections below highlight everyday jobs and straightforward project options.

Black Ant Extermination
Black Ant Extermination

Black ant extermination services are commonly sought by property owners in Prosper, TX, dealing with persistent ant invasions. These insects often find their way indoors in search of food and water, creating nuisance and potential health concerns. Local service providers can assist with identifying the source of the infestation and implementing targeted treatments to eliminate the ants and prevent future issues.

Property owners may also turn to extermination specialists when ant problems disrupt daily activities or threaten the integrity of their structures. Whether ants are nesting in lawns, around foundations, or inside walls, professional pest control services offer solutions to manage and remove these pests effectively. Connecting with local experts can help address these common, everyday project situations efficiently.

Get a Black Ant Extermination Quote

Why are black ants attracted to my home? Black ants are drawn to food sources, moisture, and shelter around the property, which can lead them indoors in search of sustenance.

How can I tell if I have a black ant infestation? Signs include visible ant trails, small piles of dirt or debris near entry points, and the presence of ants inside the home or around the foundation.

What extermination methods do professionals use for black ants? Local pest control providers often use targeted baits, insecticidal treatments, and barrier sprays to eliminate black ant colonies effectively.

Are black ants harmful to my home or health? While black ants are generally not dangerous to humans, they can contaminate food and may cause minor structural damage if they build extensive nests indoors.

How can I prevent black ants from returning? Proper sanitation, sealing entry points, and eliminating moisture sources can help reduce the likelihood of future black ant problems, with professional services providing additional treatment if needed.

Black Ant Extermination Methods - Local pest control professionals offer various techniques to eliminate black ants effectively, including baiting and barrier treatments.

Signs of Black Ant Infestation - Identifying ant trails, nests, and damage can help determine the extent of an infestation and when to seek professional assistance.

Preventive Black Ant Control - Experts can advise on sanitation practices and structural adjustments to reduce the likelihood of future ant problems.

Choosing a Black Ant Exterminator - Contacting experienced local service providers ensures tailored solutions for black ant issues in Prosper, TX, and nearby areas.

Black Ant Extermination

Considering Black Ant Extermination for a property in Prosper, TX? The sections above highlight common project types, practical options, and details that often shape the scope of work.

When you are ready, use the quote form to share a few details about your project. Local pros can review the basics and respond with options that match what you have in mind.

Get a Black Ant Extermination Quote

Black Ant Extermination Quotes

Our Trusted Partners
Cantu Pest Control
Orkin
Hawx Pest Control
Mosquito Shield