Local Service Overview

Get Ants Extermination Service in Bedford, TX

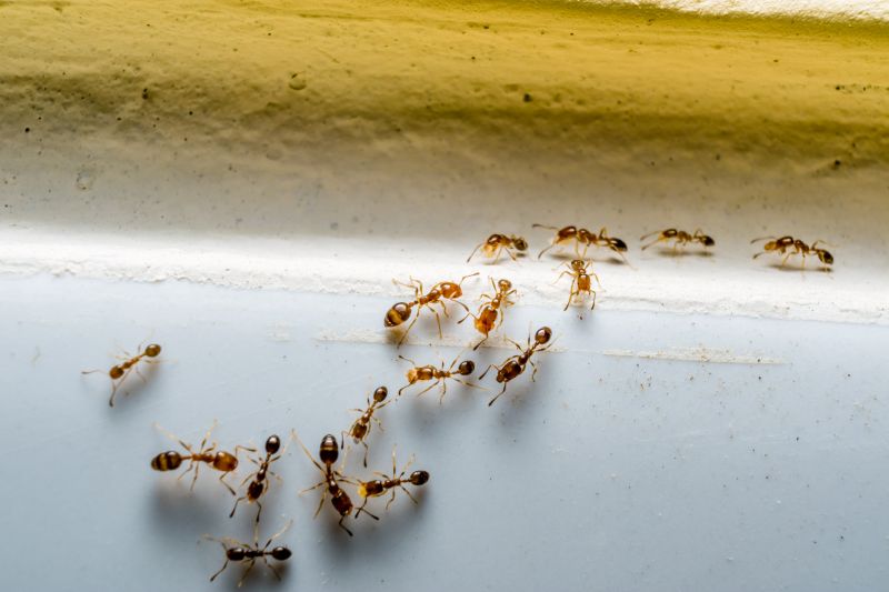
Ants extermination services for property owners in Bedford, TX, and nearby areas address ant infestations, including nests and colonies, through targeted removal and prevention projects.

Bedford, TX

Ants extermination services in Bedford, TX offer property owners a practical solution to maintain a comfortable and safe living environment. By effectively managing ant populations, homeowners can reduce the risk of damage to structures and stored belongings, while also minimizing the presence of pests that can cause allergies or spread bacteria. This work helps ensure that outdoor and indoor spaces remain functional and inviting, supporting everyday activities without the nuisance of unwanted insects.

Engaging professional ant extermination can also enhance curb appeal and decrease ongoing maintenance needs. A pest-free property appears well-maintained and cared for, which can be important for both aesthetic value and property value. Regular treatments from local service providers help sustain durable results, allowing residents to enjoy a more enjoyable and worry-free home environment with fewer disruptions caused by ant invasions.

Get Ants Extermination Service Quotes

  • Ant Infestation Removal - needed when ants invade kitchens, pantries, or other indoor spaces in Bedford, TX and nearby areas.
  • Ant Nest Extermination - required when large ant colonies establish themselves outdoors around residential or commercial properties.
  • Outdoor Ant Control - necessary to prevent ant populations from spreading into yards, gardens, or patios in local neighborhoods.
  • Ant Barrier Treatments - used to create a protective barrier around buildings to keep ants from entering indoor spaces in the region.
  • Ant Prevention Services - sought after to establish ongoing defenses against ant re-infestations in homes and businesses.

Get Ants Extermination Service Quotes

Ants Extermination Service
Ants Extermination Service
Ants Extermination Service

Ants extermination services involve the identification and elimination of ant infestations within residential, commercial, or industrial properties. Service providers typically perform thorough inspections to locate ant colonies and determine the species involved. Treatments may include the application of targeted baits, insecticides, or barriers designed to eradicate ants at their source and prevent future invasions. These services aim to address the root causes of ant problems, ensuring a cleaner and more comfortable environment for property occupants.

Ant infestations can cause a range of issues, from nuisance and inconvenience to potential property damage. Certain ant species, such as carpenter ants, are known to damage wood structures, while others, like fire ants, pose health risks through painful stings. Additionally, ants can contaminate food supplies and create unsanitary conditions, especially in kitchens and food storage areas. Extermination services help mitigate these problems by removing active colonies and reducing the likelihood of recurring infestations.

The types of properties that typically utilize ants extermination services include single-family homes, apartment complexes, restaurants, grocery stores, and office buildings. Residential properties often seek treatment to protect their living spaces and maintain hygiene standards. Commercial establishments, particularly those involved in food preparation and storage, rely on professional pest control to meet health regulations and prevent disruptions. In industrial settings, where large-scale infestations may occur, specialized treatments are employed to manage and control ant populations effectively.

Professional ant extermination services are designed to provide long-term solutions for property owners dealing with persistent ant problems. By employing targeted strategies and effective treatments, local service providers help reduce the presence of ants and minimize the risk of future invasions. Contacting experienced pest control professionals can ensure that infestations are managed efficiently, maintaining a clean and pest-free environment across various property types in Bedford, TX, and surrounding areas.

The overview below groups typical Ants Extermination Service projects into broad ranges so you can see how smaller, mid-sized, and larger jobs often compare in Bedford, TX.

In many markets, a large share of routine jobs stays in the lower and middle ranges, while only a smaller percentage of projects moves into the highest bands when the work is more complex or site conditions are harder than average.

Initial Inspection - The cost for an ant inspection typically ranges from $50 to $150, depending on the property size and complexity. This fee covers the assessment of ant activity and entry points. Example costs in Bedford, TX, may fall within this range based on local service providers.

Basic Treatment - A standard ant extermination service usually costs between $100 and $300. The price varies with the extent of the infestation and the treatment method used. For a typical residence, expect charges around $150 in the Bedford area.

Deep or Multiple Treatments - More extensive or repeated treatments can range from $200 to $500. These services are recommended for severe infestations or stubborn colonies. Local pros may charge approximately $250 for larger properties or persistent issues.

Follow-up Services - Follow-up visits or treatments generally cost between $75 and $200 each. These are often necessary to ensure complete eradication and prevent future ant problems. Costs in Bedford, TX, tend to align with this typical range for ongoing pest management.

Actual totals will depend on details like access to the work area, the scope of the project, and the materials selected, so use these as general starting points rather than exact figures.

Get an Ants Extermination Service Quote

Ants Extermination services connect homeowners with local pest control specialists who can effectively eliminate ant infestations in residential and commercial properties. These professionals use targeted methods to address various types of ants and prevent future invasions.

Residential Ants Control providers focus on safeguarding homes from ant colonies, ensuring a safe and pest-free living environment for families in Bedford, TX and surrounding areas.

Commercial Ants Management services assist local businesses in maintaining pest-free workplaces, helping to protect their reputation and comply with health standards.

Ants Inspection and Prevention experts offer thorough assessments to identify ant entry points and recommend preventative measures to keep properties ant-free over time.

Eco-friendly Ant Control options are available through local providers who utilize environmentally conscious methods to manage ant populations without harmful chemicals.

Emergency Ant Extermination services are accessible for urgent infestations, providing quick response from local professionals to address unexpected ant problems promptly.

Ants Extermination Service

When selecting a local ant extermination service, it’s important to consider the experience of the providers. Experienced professionals are often familiar with common ant species in Bedford, TX, and surrounding areas, enabling them to identify infestation sources accurately and apply effective treatment methods. Homeowners can review the background and years of service of local pros to gauge their familiarity with local pest issues, which can contribute to more efficient and targeted solutions.

Clear communication and well-defined expectations are vital when working with ant extermination specialists. Reputable service providers typically outline the scope of work, treatment procedures, and any necessary preparations beforehand. Establishing transparent dialogue helps ensure that homeowners understand what to expect during and after treatment, reducing potential misunderstandings and fostering confidence in the service.

Reputable references and reviews can serve as valuable indicators of a provider’s reliability and quality of work. Homeowners are encouraged to seek out local pros with positive feedback from previous clients in Bedford and nearby communities. Reliable providers often maintain a reputation for professionalism, responsiveness, and consistent results, making them easier to evaluate through references and local reputation. Effective communication and proven experience are key factors in selecting a trusted ant extermination service.

Get an Ants Extermination Service Quote

Property owners in Bedford, TX use Ants Extermination Service services for practical projects around their homes and businesses. The sections below highlight everyday jobs and straightforward project options.

Ants Extermination Service
Ants Extermination Service

Ants extermination services are commonly sought after by property owners in Bedford, TX, facing persistent ant problems in residential and commercial spaces. Ant invasions often occur during warmer months or when food sources and moisture are readily available, leading property owners to seek professional assistance to eliminate colonies and prevent future infestations. These services are typically used when DIY methods prove ineffective or when an ongoing ant presence disrupts daily activities and comfort.

Property owners may also look for ant extermination services following the discovery of large or hard-to-reach colonies inside walls, under flooring, or around the foundation. Ants can quickly multiply and become a nuisance, prompting the need for expert treatment to address the root of the problem. Local service providers offer targeted solutions to manage ant populations and help maintain a pest-free environment in homes and businesses throughout Bedford, TX.

Get an Ants Extermination Service Quote

How do ant extermination services work? Ant extermination services typically involve inspecting the property, identifying ant species and entry points, and applying targeted treatments to eliminate colonies and prevent future infestations.

Are ant treatments safe for pets and children? Many ant extermination options are designed to be safe when used according to instructions, but it is recommended to discuss concerns with local service providers to choose the safest solution for your household.

How long does an ant extermination treatment last? The effectiveness duration of ant treatments varies depending on the method used and the extent of the infestation; local pros can provide guidance on maintenance and follow-up treatments.

Can I handle ant problems on my own? While DIY methods may help with minor ant issues, professional extermination services are often more effective for significant or persistent infestations.

What should I do before a pest control appointment? It's generally advised to clear the area of food and dishes, and follow any specific instructions provided by the service provider to ensure the treatment's effectiveness.

Ants Extermination Techniques - Local service providers utilize various methods such as baiting, trapping, and chemical treatments to eliminate ant infestations effectively.

Identifying Ant Species - Professionals can help determine the specific type of ants present to recommend the most appropriate extermination approach.

Preventive Ant Control Tips - Service providers offer guidance on sealing entry points and removing attractants to reduce future ant problems.

Emergency Ant Extermination Services - Immediate assistance is available for urgent ant infestations that require prompt attention from local experts.

Ants Extermination Service

Considering Ants Extermination Service for a property in Bedford, TX? The sections above highlight common project types, practical options, and details that often shape the scope of work.

When you are ready, use the quote form to share a few details about your project. Local pros can review the basics and respond with options that match what you have in mind.

Get an Ants Extermination Service Quote

Ants Extermination Quotes

Our Trusted Partners
Cantu Pest Control
Orkin
Hawx Pest Control